Destacado
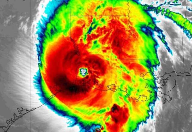
Huracán ‘Laura’ deja primer muerto en EU y se degrada a categoría 1
Una niña de 14 años a la que se le cayó encima un árbol en el estado de Luisiana, es la primera víctima mortal conocida en Estados Unidos por el paso del huracán Laura, de categoría 1, y que si
leer másFGR pide que Robles pague daño de Estafa maestra
La Fiscalía General de la República (FGR) pidió que Rosario Robles, extitular de la Secretaría de Desarrollo Social (Sedesol), pague más de 5 mil millones de pesos que resultaron del daño ocasio
leer másLa segunda vacuna rusa contra Covid-19 estará lista en septiembre
La segunda vacuna rusa contra el Covid-19, que elabora el Centro de Investigación Véktor de Novosibirsk, estará lista en septiembre, afirmó el presidente Vladimir Putin. En entrevista con el canal
leer más«No se ocultará nada ni se protegerá a nadie»: Segob sobre desapariciones forzadas
Luego de que el presidente Andrés Manuel López Obrador envió un oficio al Senado de la República, donde reconoce la competencia del Comité contra las Desapariciones Forzadas de las Naciones Unida
leer másA pesar de advertencias de sanciones, AMLO no porta cubrebocas en NL
Apodaca.-A pesar de las advertencias de Manuel de la O Cavazos, secretario estatal de Salud de Nuevo León, quien señaló que si no se cumplían las medidas de seguridad en salud sancionaría la conf
leer másEuropa reabre escuelas pese a repunte de Covid-19
GINEBRA.- Europa está empezando a entrar en un “momento delicado” con el nuevo curso escolar, y aunque las aulas no han desempeñado un papel importante en la propagación del coronavirus, hay ca
leer másTamaulipas reporta 293 nuevos casos de COVID-19 y confirma 9 fallecimientos
CIUDAD VICTORIA, Tamaulipas.- En su reporte diario sobre la situación de la pandemia del SARS-COV2 en Tamaulipas, la secretaria de Salud, Gloria Molina Gamboa confirmó 293 casos y 9 nuevos fallecimi
leer másHuracán ‘Laura’ toca tierra en EU; se debilita a categoría 2
El huracán Laura tocó tierra esta madrugada en Estados Unidos, reportó el Centro Nacional de Huracanes (NHC por sus siglas en inglés) de ese país y posteriormente informó que el fenómeno se deg
leer másNo hay condiciones para la reforma migratoria en EU, dice embajadora
Una reforma migratoria es necesaria en Estados Unidos; sin embargo, hoy en día no hay condiciones para ello, consideró la embajadora de México en la Unión Americana, Martha Bárcena. La diplomáti
leer másTifón ‘Bavi’ pone en alerta a las dos Coreas
Corea del Sur canceló cientos de vuelos en tanto el gobierno norcoreano expresó preocupación por la posible pérdida de vidas y cosechas en momentos que los dos países aguardan el arribo próximo
leer más






